Neubauprojekt - Traumhafte Häuser in 1220 Wien - PROVISIONSFREI auf Eigengrund
Haus
- Reihenhaus,
1220
Wien
,
Kanalstraße
Lage der Immobilie
Die Immobilie befindet sich in der Kanalstraße im 22. Wiener Gemeindebezirk. Sie liegt in unmittelbarer Nähe zum Mühlwasser, einem beliebten Naherholungsgebiet. Die Umgebung ist geprägt von Wohnhäusern und Grünflächen. In der Nähe gibt es eine Bushaltestelle, von der aus man bequem ins Stadtzentrum gelangen kann. Auch der Autobahnanschluss ist nur wenige Minuten entfernt, was eine gute Anbindung an das Straßennetz bietet. Die Lage ist somit sowohl für Pendler als auch für Naturliebhaber die die Nähe zur Stadt nicht missen möchten.Beschreibung der Immobilie
Willkommen in Ihrem neuen Zuhause in 1220 Wien!
Diese atemberaubende Immobilie besticht nicht nur durch ihre moderne Architektur und hochwertige Ausstattung, sondern auch durch ihre erstklassige Lage in einem der begehrtesten Stadtteile Wiens. Der Erstbezug dieser Immobilie garantiert Ihnen ein unvergleichliches Wohngefühl und die Möglichkeit, Ihre persönlichen Vorstellungen und Wünsche in die Gestaltung Ihres neuen Zuhauses einfließen zu lassen.
Die perfekte Verkehrsanbindung ist ein weiteres Highlight dieser Immobilie. Dank der nahegelegenen Busanbindung sind Sie in kürzester Zeit in der Innenstadt und können alle Vorzüge der pulsierenden Metropole Wien genießen. Auch der Autobahnanschluss ist nur wenige Minuten entfernt, was Ihnen eine schnelle und unkomplizierte Anbindung an das Umland ermöglicht.
Die Reihenhäuser befinden sich von 1220 Wien und bietet Ihnen somit eine perfekte Kombination aus urbanem Lebensstil und ruhiger Wohnlage. Hier genießen Sie die Vorteile einer lebendigen Großstadt, ohne auf die nötige Ruhe und Erholung verzichten zu müssen.
Beim Betreten der Immobilie werden Sie von einem lichtdurchfluteten Eingangsbereich empfangen, der Sie direkt in den großzügigen Wohn- und Essbereich führt. Hier erwartet Sie ein offener und moderner Küchenbereich, der keine Wünsche offen lässt.
Die großzügigen Fensterflächen sorgen für ein helles und freundliches Ambiente in allen Räumen und bieten einen beeindruckenden Ausblick auf die grüne Umgebung. Die bodentiefen Fenster im Wohnbereich führen direkt auf die sonnige Terrasse, die sich ideal für gemütliche Stunden im Freien eignet.
Die Immobilie verfügt über insgesamt drei Schlafzimmer, die alle mit hochwertigen Parkettböden ausgestattet sind und genügend Platz für individuelle Gestaltungsmöglichkeiten bieten. Das Hauptschlafzimmer ist mit einem eigenen Badezimmer en suite ausgestattet, das mit einer luxuriösen Regendusche und eleganten Fliesen überzeugt.
Auch das zweite Badezimmer lässt keine Wünsche offen und ist mit einer Badewanne ausgestattet, die zum Entspannen und Abschalten einlädt. Ein weiteres Highlight dieser Immobilie ist die separate Toilette, die für zusätzlichen Komfort sorgt.
Ein besonderes Highlight dieser Immobilie ist der Garten, der zum Verweilen und Entspannen einlädt. Hier können Sie laue Sommerabende genießen und sich vom hektischen Alltag erholen.
Bei der Planung wurde großes Augenmerk auf eine ökologisch nachhaltige und energieeffiziente Ausgestaltung gelegt. Dies wird auch durch ein "klimaaktiv" als auch "greenpass" Zertifikat bescheinigt.
Überzeugen Sie sich selbst von dieser einzigartigen Immobilie und vereinbaren Sie noch heute einen Termin. Lassen Sie sich von den hochwertigen Materialien, der erstklassigen Ausstattung und der perfekten Lage begeistern und finden Sie Ihr neues Traumzuhause in 1220 Wien. Wir freuen uns darauf, Ihnen diese Immobilie persönlich präsentieren zu dürfen.
Wir weisen darauf hin, dass zwischen dem Vermittler und dem zu vermittelnden Dritten ein familiäres oder wirtschaftliches Naheverhältnis besteht.
Der Vermittler ist als Doppelmakler tätig.
Infrastruktur / Entfernungen
Gesundheit
Arzt <1.250m
Apotheke <1.750m
Klinik <2.000m
Krankenhaus <1.750m
Kinder & Schulen
Schule <1.500m
Kindergarten <1.500m
Universität <1.500m
Höhere Schule <4.250m
Nahversorgung
Supermarkt <1.250m
Bäckerei <1.750m
Einkaufszentrum <2.500m
Sonstige
Geldautomat <1.500m
Bank <1.750m
Post <1.500m
Polizei <2.250m
Verkehr
Bus <250m
U-Bahn <1.250m
Straßenbahn <2.000m
Bahnhof <1.250m
Autobahnanschluss <750m
Angaben Entfernung Luftlinie / Quelle: OpenStreetMap
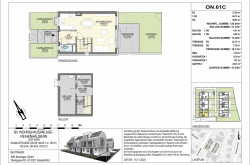
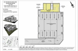
Eckdaten
| Kaufpreis: | 799.900,00 € |
| Fläche: | 120,04 m² |
| Zimmer: | 5 |
Basisdaten zur Immobilie
| Objektnr: | 7368/49 |
| Art: | Haus - Reihenhaus |
| Land: | Österreich |
| Baujahr: | 2026 |
| Zustand: | Erstbezug |
| Alter: | Neubau |
| Kaufpreis: | 799.900,00 € |
| Kaufpreis / m²: | 5.478,77 € |
| Wohnfläche: | 120,04 m² |
| Nutzfläche: | 146,00 m² |
| Zimmer: | 5 |
| Bäder: | 2 |
| WC: | 3 |
| Balkone: | 2 |
| Terrassen: | 2 |
| Garten: | 47,54 m² |
| Keller: | 21,33 m² |
| Heizwärmebedarf: | A 33,30 kWh/m²a |
| fGEE: | A+ 0,63 |
Ausstattung
Parkett, Fliesen, Fußbodenheizung, Wohnküche / offene Küche, Bad mit Fenster, Badewanne, Dusche, Tiefgarage
Internet und TV
Information zur Internet und TV Versorgung hier
Ihre persönliche Beratung
Ing. Mario Gruber
AWMG KG
mg@awmg.at
+43 1 3940500
+43 676 4157080
