Erschwingliche Baugrundstücke um Wohnträume zu verwirklichen!
Grundstück
- Baugrund Eigenheim,
8951
Unterburg
Beschreibung der Immobilie
Attraktive Baugrundstücke in sonniger Lage in Unterburg!
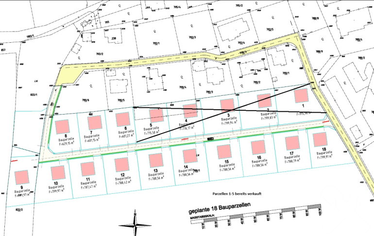
Die Parzellen überzeugen durch ihre gute Zufahrt, ihre sonnige und naturnahe Umgebung sowie die vollständige Aufschließung, die im Frühjahr 2026 erfolgt. Ab diesem Zeitpunkt ist die Bebaubarkeit jederzeit gegeben.
Die Grundstücke sind voll aufgeschlossen und zweitwohnsitzfähig – ideal sowohl für Hauptwohnsitze als auch für Ferienimmobilien.
Die Widmung entspricht der Steirischen Raumordnung – Bauland Wohnen Allgemein.
Die Bebauungsdichte beträgt 0,3–0,6 und bietet damit ausreichend Gestaltungsspielraum für Einfamilien- oder Doppelhäuser.
Kaufpreis/m²: ca. € 125,00 siehe Verkaufstabelle
Lage – Unterburg
Unterburg ist eine kleine, idyllische Ortschaft, eingebettet in die gebirgige Landschaft der Obersteiermark.
Der Ort ist geprägt von viel Grün, gepflegten Bauernhöfen und einer ruhigen Dorfgemeinschaft.
Die sonnige Lage bietet ein angenehmes Wohnklima zu jeder Jahreszeit.
Wander- und Radwege führen direkt vor der Haustüre vorbei, und die Umgebung bietet eine hohe Lebensqualität für Naturliebhaber, Familien und Ruhesuchende.
Infrastruktur in der Umgebung
In wenigen PKW-Fahr-Minuten erreichbar sind:
- Einkaufsmöglichkeiten für den täglichen Bedarf
- Restaurants, Cafés und traditionelle Gasthöfe
- Kindergarten und Schulen in den umliegenden Ortschaften
- Ärztliche Versorgung, Apotheke und Bankinstitute
- Regionale Busverbindungen und gute Anbindung an überregionale Verkehrswege
Die gut ausgebaute Infrastruktur stellt eine verlässliche Versorgung sicher, ohne die ländliche Ruhe zu beeinträchtigen.
Bezirkshauptstadt Liezen
Die Bezirkshauptstadt Liezen ist in überschaubarer Fahrzeit erreichbar und bietet:
- umfangreiche Einkaufsmöglichkeiten und Fachgeschäfte
- weiterführende Schulen
- Fachärzte
- Behörden, Verwaltungseinrichtungen und kulturelle Angebote
Damit stehen alle wichtigen städtischen Einrichtungen in komfortabler Nähe zur Verfügung.
Nähe zum Salzkammergut
Unterburg liegt in vorteilhafter Distanz zum Salzkammergut, einer der schönsten Regionen Österreichs.
Zahlreiche Seen – wie der Grundlsee, Altausseer See, Hallstätter See oder der Traunsee – sind gut erreichbar und bieten Möglichkeiten zum Baden, Bootfahren, Wandern und Genießen.
Die Kombination aus steirischem Charme und salzkammergütlicher Seenlandschaft macht die Region besonders attraktiv für Freizeit und Erholung.
Skigebiete in der Umgebung
Mehrere bekannte Skigebiete befinden sich in angenehmer Entfernung und sind ideal für Wintersportler:
- familienfreundliche Skigebiete in der Obersteiermark
- größere Skiregionen wie Schladming-Dachstein, Loser – Altaussee, Tauplitz, Planneralm und Riesneralm
Damit stehen abwechslungsreiche Pisten, Loipen und Winterwanderwege nahezu vor der Haustüre zur Verfügung.
Sollte dieses Angebot ihren Vorstellungen entsprechen, zögern sie nicht und vereinbaren sie gleich einen Beratungstermin bei unseren Maklern Klaus Schrottshammer (+436646275730) oder Brigitte Spielberger (+436646275108).
Eckdaten
| Objektnr: | 00050048280011 |
| Art: | Grundstück - Baugrund Eigenheim |
| Land: | Österreich |
| Kaufpreis: | 98.570,00 € |
| Provision: | 3% des Kaufpreises plus 20% USt. |
| Grundstücksfl.: | 788,56 m² |
Internet und TV
Information zur Internet und TV Versorgung hier
Ihre persönliche Beratung
Klaus Schrottshammer
Raiffeisen Steiermark
E klaus.schrottshammer@rlbstmk.at
T +43 316 8036 2275022751
H +43 664 62 75 730