Immobilie merken

Baugrundstück in ländlicher Idylle in Bad Mitterndorf

Grundstück , 8983 Bad Mitterndorf

Lage der Immobilie

8983 Thörl bei Bad Mitterndorf

Beschreibung der Immobilie

Mitten im steirischen Salzkammergut, mit Blick auf den mächtigen Grimming, liegt die Gemeinde Bad Mitterndorf. Ländliche Idylle und trotzdem alle Annehmlichkeiten einer modernen Infrastruktur vereinen sich hier. Tradition wird gelebt und macht den Charme dieser Region aus. 

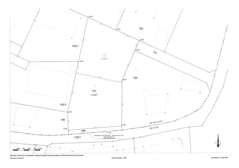
In dem Ortsteil Thörl, haben Sie die Möglichkeit sich Ihren Wohntraum zu verwirklichen! Das Grundstück liegt in einer Einfamilienhaussiedlung und ist mit einer Bebauungsdichte von WA 0,2-0,7 ausgewiesen und befindet sich in der gelben Zone. Das Bebauungsgrundstück hat eine Größe von 551 m².

Die Grundstücksteilung erfolgt vorbehaltlich der Genehmigung durch die Gemeinde.

In der Freizeitregion Bad Mitterndorf stehen Ihnen zahlreiche Möglichkeiten zur Verfügung. Das Skigebiet Tauplitz befindet sich nur wenige Autominuten entfernt. Bekannt ist Bad Mitterndorf auch für seine wunderschönen Langlaufloipen. Bergsteigen, Wandern, Radtouren, Skifahren, Langlaufen, Badeseen uvm. im Ausseerland, lassen keine Wünsche offen! 
Wellness bietet die nahegelegene Grimming-Therme in Bad Mitterndorf oder das Narzissen Vital Resort in Bad Aussee. 

Spaziergänge rund um den nahegelegenen Ödensee oder sich einen kulinarischen Genuss  in der Kohlröslerlhütte am Ödensee gönnen - Sie haben die freie Auswahl. 
Das steirische Meer, der Grundlsee befindet sich nur 6,5 km entfernt und ist zu jeder Jahreszeit mehrere Besuche wert. 

Infrastruktur / Entfernungen

Gesundheit
Arzt <1.000m
Apotheke <1.000m

Kinder & Schulen
Schule <1.000m

Nahversorgung
Bäckerei <1.000m
Supermarkt <1.000m

Sonstige
Geldautomat <1.000m
Bank <1.000m
Polizei <1.000m
Post <1.000m

Verkehr
Bus <500m
Bahnhof <500m
Flughafen <9.500m

Angaben Entfernung Luftlinie / Quelle: OpenStreetMap

Eckdaten

Kaufpreis: 114.300,00 €
Fläche: 750,00 m²

Basisdaten zur Immobilie

Objektnr: 961/36002
Art: Grundstück
Land: Österreich
Kaufpreis: 114.300,00
Provision: 3% des Kaufpreises zzgl. 20% USt.
Grundstücksfl.: 750,00 m²

Internet und TV

Information zur Internet und TV Versorgung hier




Immobilie anfragen




Ihre persönliche Beratung

s REAL - Bad Aussee

Thomas Mayr

Real-Service für steirische Sparkassen Realitätenvermittlungs-Ges.m.b.H.

thomas.mayr@sreal.at

+43 5 0100 - 26421

+43 664 8425480