BAULAND WOHNEN FÜR PROJEKTENTWICKLER - 16.000 m²
Grundstück
- Baugrund Eigenheim,
2602
Blumau-Neurißhof
Lage der Immobilie
Die Gemeinde Blumau-Neurißhof im Bezirk Baden gilt als grüne Oase im Steinfeld des Wiener Beckens. Idyllische Alleen und Au-Wege laden zum Laufen, Wandern und Radfahren ein. Zusätzlich wurde ein eigener Lauf- und Fitness-Parcours im Ort errichtet.Beschreibung der Immobilie
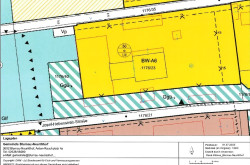
Fläche 16.000 m² (lt. Grundbuch)
Widmung Aufschließungszone Bauland Wohnen BW-A6
Der Verkauf erfolgt im Rahmen eines strukturierten Prozesses. Der Mindestkaufpreis beträgt EUR 170,- / m².
Infrastruktur / Entfernungen
Gesundheit
Arzt <500m
Apotheke <3.000m
Krankenhaus <9.000m
Klinik <7.500m
Kinder & Schulen
Kindergarten <1.000m
Schule <3.500m
Nahversorgung
Supermarkt <500m
Bäckerei <500m
Einkaufszentrum <7.000m
Sonstige
Bank <3.000m
Geldautomat <3.000m
Post <4.000m
Polizei <4.500m
Verkehr
Bus <500m
Bahnhof <2.500m
Autobahnanschluss <6.000m
Straßenbahn <9.000m
Flughafen <6.000m
Angaben Entfernung Luftlinie / Quelle: OpenStreetMap
Eckdaten
| Kaufpreis: | 2.720.000,00 € |
| Fläche: | 16.000,00 m² |
Basisdaten zur Immobilie
| Objektnr: | 4724/12085 |
| Art: | Grundstück - Baugrund Eigenheim |
| Land: | Österreich |
| Kaufpreis: | 2.720.000,00 € |
| Provision: | 3% zuzüglich Ust. |
| Grundstücksfl.: | 16.000,00 m² |
Internet und TV
Information zur Internet und TV Versorgung hier
Ihre persönliche Beratung
Mag. (FH) David Breitwieser
OPTIN Immobilien GmbH
david.breitwieser@optin.at
+43 1 934 69 60-202
+43 664 173 58 56
