Immobilie merken

Baugrundstück ohne Bauzwang nähe Mattsee

Grundstück - Baugrund Eigenheim, 5221 Lochen am See

Beschreibung der Immobilie

Sonniges Baugrundstück ohne Bauzwang in der Gemeinde Kerschham / 5221 Lochen am See
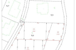
Dieses große Baugrundstück mit gesamt 1978m² kann in 2 Teilgrundstücke zu je 989m² gemäß Teilungsplan-Entwurf geteilt werden.


Beschreibung:
Attraktives Baugrundstück in Gemeinde Kerschham / 5221 Lochen am See nähe Mattsee
Dieses 989 m² große Grundstück bietet eine sonnige Lage mit Südblick und ist frei von Bauzwang.
Hier haben Sie die Möglichkeit, Ihren Traum vom Eigenheim zu verwirklichen.
Das Grundstück ermöglicht Anschlüsse an Wasser, Kanal und Strom.
Profitieren Sie von der malerischen Umgebung nähe Salzburger Seengebiet und gestalten Sie Ihr eigenes Zuhause nach Ihren Wünschen und Vorstellungen.
Eine ideale Gelegenheit, um in einer gut erreichbaren Gegend Ihre Wohnträume zu realisieren."
Naturnähe: Die Lage in unmittelbarer Nähe zum Salzburger Seenland bietet zahlreiche Freizeitmöglichkeiten im Freien, darunter Schwimmen, Bootfahren, Wandern und Radfahren. Die malerische Umgebung lädt dazu ein, die Natur in vollen Zügen zu genießen.

Wir freuen uns bereits, Ihnen dieses besondere Baugrundstück ohne Bauzwang persönlich vorzustellen!

Wir weisen auf Ihre 14-tägige Rücktrittsfrist (nach § 11 FAGG ) hin. Damit Ihre Rechte gewahrt werden, beantworten wir nur Anfragen mit vollständigen Kontaktdaten (Name, Adresse, Handy, E-Mail). Wir werden gerne vor Ablauf der 14-tägigen Rücktrittsfrist für Sie tätig, wenn Sie uns gesetzeskonform (FAGG) und ausdrücklich (am besten per E-Mail) auffordern. Wenn Kaufvertrag/ Mietvertrag nicht zustande kommen, ist unsere Tätigkeit für Sie völlig kostenfrei. Wir möchten an dieser Stelle auf unsere Doppelmaklertätigkeit hinweisen.

Nur auf www.remax.at finden Sie neue RE/MAX Immobilien früher und vollständig.

Neuer Job, neue Perspektiven: Jetzt als Immobilienmakler/in durchstarten!
Werden Sie Teil unseres Teams – jetzt bewerben unter karriere@remax-innova.at.

Weitere Infos in unseren News: https://www.remax.at/de/ib/remax-innova-braunau-inn/news/wir-suchen-sie-16641

Infrastruktur / Entfernungen

Gesundheit
Arzt <500m
Apotheke <6.500m
Klinik <7.000m

Kinder & Schulen
Schule <500m
Kindergarten <500m

Nahversorgung
Supermarkt <500m
Bäckerei <5.500m

Sonstige
Geldautomat <500m
Bank <500m
Post <5.500m
Polizei <5.500m

Verkehr
Bus <500m
Bahnhof <3.000m

Angaben Entfernung Luftlinie / Quelle: OpenStreetMap

Eckdaten

Kaufpreis: 276.920,00 €
Fläche: 989,00 m²

Basisdaten zur Immobilie

Objektnr: 1651/4435
Art: Grundstück - Baugrund Eigenheim
Land: Österreich
Kaufpreis: 276.920,00
Provision: 3% des Kaufpreises zzgl. 20% USt.
Grundstücksfl.: 989,00 m²

Internet und TV

Information zur Internet und TV Versorgung hier




Immobilie anfragen




Ihre persönliche Beratung

RE/MAX Innova

Josef Treml

RE/MAX Innova Innova Immobilien GmbH

j.treml@remax-innova.at

+43 7742 61040

+43 676 56 30 947