Traumhaftes Baugrundstück - 1.700 m² für Ihr individuelles Wohnprojekt!
Grundstück
- Baugrund Eigenheim,
2000
Stockerau
Beschreibung der Immobilie
Sie sind auf der Suche nach einem Grundstück in einer ruhigen und dennoch gut angebundenen Lage? Dann haben wir das perfekte Angebot für Sie!
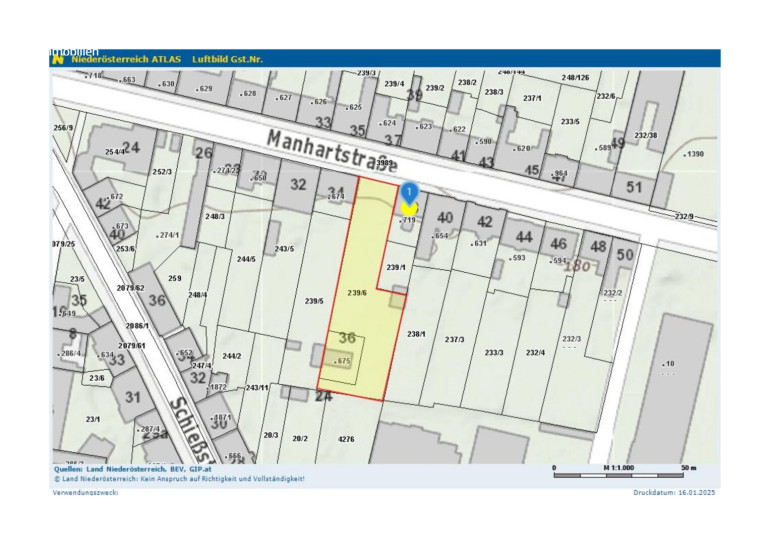
Dieses ca. 1.716 m² große Grundstück im Herzen von Stockerau bietet zahlreiche Möglichkeiten und ist der ideale Ort für die Verwirklichung Ihres Bauvorhabens.
Eckdaten:
- Grundstücksgröße: ca. 1.716 m²
- Widmung: Bauland-Wohngebiet
- Bebauungsdichte: 40%
- Bauklasse: II
Hier können Sie Ihren Traum vom Eigenheim verwirklichen und haben genügend Platz für einen großen Garten oder eine Terrasse zum Entspannen und Genießen.
Auch für Investoren bietet sich hier eine interessante Chance ein Mehrfamilienhaus zu errichten oder das Grundstück zu bebauen und zu vermieten.
Hier geht's zum 360° Rundgang: https://app.immoviewer.com/portal/tour/3103713?accessKey=67e9
Viele weitere Rundgänge, so wie alle neuen s REAL Immobilienangebote finden Sie auf www.sreal.at.
Lage und Infrastruktur:
Die Verkehrsanbindung ist hier optimal. Mit dem Bus gelangen Sie schnell und unkompliziert in die umliegenden Orte und Städte. Auch der Autobahnanschluss ist nur wenige Minuten entfernt, sodass Sie bequem in die nahegelegenen Großstädte Wien und St. Pölten gelangen. Wenn Sie lieber mit dem Zug unterwegs sind, bietet der Bahnhof Stockerau ebenfalls eine gute Anbindung.
Das Grundstück liegt in einer ruhigen Wohngegend, jedoch sind alle wichtigen Einrichtungen in unmittelbarer Nähe. So finden Sie in der Umgebung einen Arzt, eine Apotheke und ein Krankenhaus. Für Familien mit Kindern ist die Nähe zu einem Kindergarten und einer Schule besonders attraktiv. Auch für die alltäglichen Besorgungen ist gesorgt, denn Supermärkte und eine Bäckerei befinden sich in der unmittelbaren Nachbarschaft.
Zögern Sie nicht länger und sichern Sie sich dieses attraktive Grundstück in einer der schönsten Regionen Niederösterreichs. Nutzen Sie die Chance, Ihren Traum vom Eigenheim zu verwirklichen oder eine lohnenswerte Investition zu tätigen. Wir freuen uns auf Ihre Kontaktaufnahme und beraten Sie gerne bei allen weiteren Fragen unter M +43 664 8347649 oder per E-Mail unter jasmin.rotter@sreal.at.
Kauf und Finanzierung aus einer Hand – nutzen Sie die Synergien der Erste Bank & Sparkassen-Unternehmensgruppe. Gerne arrangieren wir für Sie ein unverbindliches Finanzierungsgespräch mit den Finanzierungsspezialisten der Erste Bank & Sparkasse.
Infrastruktur / Entfernungen
Gesundheit
Arzt <500m
Apotheke <500m
Klinik <9.000m
Krankenhaus <500m
Kinder & Schulen
Kindergarten <500m
Schule <500m
Universität <9.500m
Nahversorgung
Supermarkt <500m
Bäckerei <500m
Sonstige
Bank <500m
Geldautomat <500m
Post <1.000m
Polizei <1.000m
Verkehr
Bus <500m
Autobahnanschluss <1.000m
Bahnhof <1.000m
Flughafen <3.000m
Angaben Entfernung Luftlinie / Quelle: OpenStreetMap
Eckdaten
| Kaufpreis: | 980.000,00 € |
| Fläche: | 1.696,00 m² |
Basisdaten zur Immobilie
| Objektnr: | 960/70871 |
| Art: | Grundstück - Baugrund Eigenheim |
| Land: | Österreich |
| Kaufpreis: | 980.000,00 € |
| Provision: | 3% des Kaufpreises zzgl. 20% USt. |
| Grundstücksfl.: | 1.696,00 m² |
Internet und TV
Information zur Internet und TV Versorgung hier
Ihre persönliche Beratung
Jasmin Rotter
s REAL Immobilienvermittlung GmbH
jasmin.rotter@sreal.at
+43 (0) 50100 - 26335
+43 664 8347649
