Lage der Immobilie
Entdecken Sie Ihr neues Zuhause in Zwentendorf an der Donau! Diese attraktive Lage bietet Ihnen die perfekte Mischung aus Ruhe und Erreichbarkeit. In der Nähe erreichen Sie auch bequem den Kindergarten, die Mittelschule, die Volksschule, einen Nahversorger, einen Baumarkt und eine Arztpraxis sowie eine öffentliche Bushaltestelle. Ideal für Familien und Pendler befindet sich auch ein Bahnhof im Umkreis, der eine hervorragende Anbindung nach Wien gewährleistet.Beschreibung der Immobilie
Willkommen in Ihrem neuen Landhaus in der kleinen Ortschaft Oberbierbaum nähe der Marktgemeinde Zwentendorf an der Donau. Hier trifft modernes und kulturelles Wohnen auf idyllische Natur. Ihr Ziel ist es ländliches und urbanes Leben möglichst nahe verbinden zu können; dann sind Sie hier richtig! Das moderne Landhaus bietet Ihnen genügend Raum für Ihre persönlichen Wohnideen und sorgt für ausreichende, individuelle Gestaltungsmöglichkeiten.
Die Liegenschaft selbst ist gänzliche auf Bauland Agrar gewidmet und erlaubt Ihnen Tierhaltung. In der Vergangenheit wurde das Nebengebäude als Stallung sowie der Garten und der umschlossene Innenhof als Auslauf für Pferde genutzt.
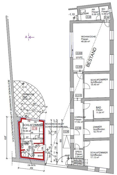
Die Liegenschaft teilt sich auf in:
- Hauptwohneinheit
- Gästewohnung
- Terrasse
- umschlossenen Innenhof
- Nebengebäude (Stallungen & Sattelkammer)
- Gartengrundstück
- Gewölbekeller (= ca. 15 m²)
Die Hauptwohneinheit mit ca. 129,00 m² unterteilt sich in:
- Vorraum
- Speis
- Schlafzimmer
- Kinderzimmer
- Badezimmer mit Dusche, WC und Waschmaschinenanschluss
- Gästezimmer
- Wohnküche mit Landhausküche und direktem Ausgang zum Innenhof
- Gäste-WC
- Technikraum
Die Gästewohnung mit ca. 19,50 m² unterteilt sich in:
- Vorraum
- Badezimmer mit Dusche und Handwaschbecken
- WC
- Wohnraum mit direktem Ausgang zur Terrasse
Das Nebengebäude unterteilt sich in:
- Abstellraum mit separatem Waschmaschinenanschluss (ehemalige Sattelkammer)
- Box 1 mit beheizter Pferde-Wassertränke
- Box 2 mit beheizter Pferde-Wassertränke
Letzte Maßnahmen und Sanierungen laut Verkäufer:
- 2009 - 2010: Erneuerung Wasser-, Strom- und Heizungsinstallation
- 2009 - 2010: Erneuerung der Fußboden
- 2009 - 2010: Erneuerung der Fenster & Türen
- 2009 - 2010: Einbau neuer Landhausküche mit Klimaanlage
- 2009 - 2010: Verbau von Wärmedämmverbundsystem (= 14 cm); siehe Anhang Schnitt
- 2009 - 2010: Verlegung von Mineralwolldämmung (= 32 cm) im Dachboden; siehe Anhang Schnitt
- 2019: Dacheindeckung bei Einfahrt und Gästebereich
- 2019: Sanierung der Ablaufrinnen
- 2019: Erneuerung Elektrik im Nebengebäude bei den Boxen
- 2020: Umbau Gästewohnung
- 2020: Revitalisierung der großzügigen Terrasse (= ca. 23,82 m²) mit italienischen Marmor
- 2025: Erneuerung Hauswasserwerk
Gebäudeinfrastruktur:
Die Beheizung erfolgt über eine Gas-Zentralheizung. Die Warmwasseraufbereitung in der Hauptwohneinheit erfolgt über die Zentralheizung und die Warmwasseraufbereitung in der Gästewohnung erfolgt über einen separaten Elektroboiler. Die gesamte Liegenschaft ist an das öffentliche Kanalnetz angeschlossen. Die Trinkwasserversorgung erfolgt über den hauseigenen Brunnen. Das gesamte Objekt befindet sich in keinem Hochwasserschutzgebiet.
Nutzen Sie die Chance, dieses traumhafte Zuhause zu erwerben, in dem Sie unvergessliche Erinnerungen schaffen werden. Lassen Sie sich von der Kombination aus modernem Komfort und natürlicher Schönheit begeistern und vereinbaren Sie noch heute einen Besichtigungstermin. Ihr neues Zuhause wartet auf Sie!
Solche Objekte sind nicht sehr lange auf dem Markt, daher zögern Sie nicht und kontaktieren Sie uns rasch!
Besichtigungen des Objekts können nach gemeinsamer Absprache von Montag bis Freitag stattfinden.
Hier geht´s zum 360° Rundgang: https://app.immoviewer.com/portal/tour/3107399?accessKey=6776
Viele weitere Rundgänge sowie alle neuen s REAL Immobilienangebote finden Sie auf www.sreal.at.
Kauf und Finanzierung aus einer Hand - nutzen Sie die Synergien der Erste Bank & Sparkassen-Unternehmensgruppe. Gerne arrangieren wir für Sie ein unverbindliches Finanzierungsgespräch mit den Finanzierungsspezialisten der Erste Bank & Sparkasse.
Infrastruktur / Entfernungen
Gesundheit
Arzt <3.500m
Apotheke <6.500m
Klinik <7.000m
Kinder & Schulen
Schule <3.000m
Kindergarten <3.000m
Nahversorgung
Supermarkt <3.500m
Bäckerei <3.000m
Einkaufszentrum <6.500m
Sonstige
Bank <3.500m
Geldautomat <3.500m
Post <3.500m
Polizei <7.500m
Verkehr
Bus <500m
Autobahnanschluss <7.500m
Bahnhof <2.000m
Angaben Entfernung Luftlinie / Quelle: OpenStreetMap
Eckdaten
| Kaufpreis: | 349.000,00 € |
| Fläche: | 1.281,00 m² |
| Zimmer: | 4 |
Basisdaten zur Immobilie
| Objektnr: | 960/70994 |
| Art: | Haus |
| Land: | Österreich |
| Baujahr: | 1903 |
| Zustand: | Modernisiert |
| Möbliert: | Teil |
| Alter: | Altbau |
| Kaufpreis: | 349.000,00 € |
| Provision: | 3% des Kaufpreises zzgl. 20% USt. |
| Grundstücksfl.: | 1.281,00 m² |
| Zimmer: | 4 |
| Bäder: | 2 |
| WC: | 3 |
| Terrassen: | 1 |
| Stellplätze: | 4 |
| Garten: | 768,00 m² |
| Keller: | 15,10 m² |
| Heizwärmebedarf: | C 89,00 kWh/m²a |
| fGEE: | C 1,07 |
Ausstattung
Parkett, Dielenboden, Fliesen, Gas, Fußbodenheizung, Zentralheizung, Einbauküche, Wohnküche / offene Küche, Bad mit Fenster, Dusche, Kabel/Satelliten-TV, Parkplatz
Internet und TV
Information zur Internet und TV Versorgung hier
Ihre persönliche Beratung
Hans-Peter Zottl
s REAL Immobilienvermittlung GmbH
hans.zottl@sreal.at
+43 (0)5 0100 - 26257
+43 664 88643685
