>>> VERKAUFT ! <<< Betriebsbaugrundstück in Stadtrandlage

Grundstück - Betriebsbaugrund, 4710 Grieskirchen

Beschreibung der Immobilie

Betriebsbaugrundstück in Stadtrandlage


Jetzt ist der optimale Zeitpunkt Ihren neuen Betriebsstandort zu sichern. Sie erhalten eine attraktive Lage mit guter Verkehrsanbindung
zur B137 und A8 sowie zur Bezirkshauptstadt Grieskirchen. Der angebotene Betriebsgrund liegt inmitten einer großzügigen
Betriebsbaugebietszone und ist die letzte frei verfügbare Parzelle.


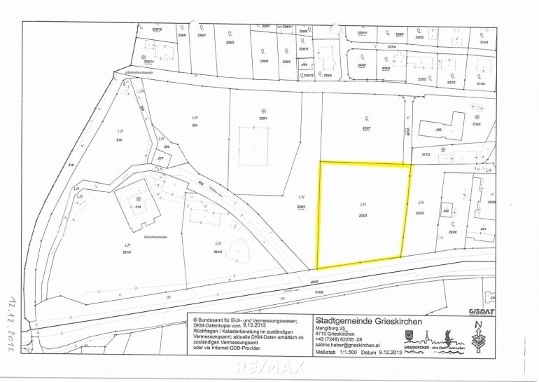
Grundstücksfläche: 6746 m²
Lage: Stadtrandlage - Betriebsbauzone
Widmung: Bauland - Betriebsbaugebiet
Bebauungsplan: Kein Bebauungsplan - Bauen nach Oö. Bauordnung
Straßenanschluss: Gemeindestraße 8 m - bereits asphaltiert
Wasserversorgung: Bereits auf öffentlichem Grund (Gemeindestraße)
Abwasserentsorgung: Bereits auf öffentlichem Grund (Gemeindestraße)
Straßenanschluss: B137 ca. 800 m entfernt (Anschluss Billa Einkaufsmarkt)
Autobahnanschluss: A8 Meggenhofen ca. 11 km entfernt
A8 Haag/Hausruck ca. 15 km entfernt

Kaufpreis m²: Euro 95,- per m²
zzgl. Vermittlungshonorar und Kaufnebenkosten

Weitere Details und Informationen gerne auf Anfrage !

Für Fragen steht Ihnen unser Ansprechpartner gerne zur Verfügung!

BITTE BEACHTEN SIE, dass wir aufgrund der Nachweispflicht gegenüber dem Eigentümer nur Anfragen mit vollständiger Angabe des Namens,
der Wohnadresse sowie der Telefonnummer bearbeiten können. Gerne senden wir Ihnen ein kostenloses Detailangebot mit weiteren Informationen zu.

Unverbindliche Unterlagen:
Die angegebenen Informationen sind nach bestem Wissen erstellt, Druck- bzw. Redaktionsfehler oder Irrtümer vorbehalten. Für Angaben,
Auskünfte und Flächen, die uns von Eigentümerseite bzw. Dritten zur Verfügung gestellt wurden, können wir keine Haftung übernehmen.

Eckdaten

Objektnr: 3777_166
Art: Grundstück - Betriebsbaugrund
Land: Österreich
Kaufpreis: 640.870,00
Kaufpreis / m²: auf Anfrage
Provision: 3.00 %
Grundstücksfl.: 6.746,00 m²
Immobilie merken Exposé

Internet und TV

Information zur Internet und TV Versorgung hier


Immobilie anfragen


Ihre persönliche Beratung

RE/MAX Bonus

Ing. Mag. Andreas Aumayr

RE/MAX Bonus

E a.aumayr@remax-bonus.at

T 67072

H +43 660 48 12 970